Ga naar inhoud
Bekijk in de app

Een betere manier om deze website te gebruiken. Meer informatie.

Moestuin Forum

Een app met volledig scherm op uw startscherm met pushmeldingen en meer.

Om deze app op iOS en iPadOS te installeren
  1. Tik op Deelpictogram in Safari
  2. Blader door het menu en tik op Toevoegen aan startscherm.
  3. Tik op Toevoegen in de rechterbovenhoek.
Om deze app op Android te installeren
  1. Tik op het menu met drie puntjes (⋮) in de rechterbovenhoek van de browser.
  2. Tik op Toevoegen aan startscherm of App installeren.
  3. Bevestig door op Installeren te tikken.

Er is in de laatste paar maanden zo goed als geen regen gevallen. Eigenlijk netzoals de vorige jaren. Toch is dit jaar iets anders, want het voorjaar was extreem koel, waardoor de meeste planten flink vertraagd zijn in hun groei. Een gevolg is dat de aardbeienoogst van mijn junidragers nu pas langzaam begint. Maar de boerenkool is daarentegen alweer oogstrijp. Maakt niet uit, zolang ik wat kan oogsten is alles ok.

 

5_PlukslaAmerikanischerbrauner.thumb.jpg.1de3f59d8436ad5129dd7ac2c30cfc0c.jpg

 

Een groot succes is de pluksla "Amerikaanse bruine". Die schiet nu door (zaadwinning!), maar ik heb een heel weeshuis ervan kunnen verzorgen. Kortom, een blijver.

We hebben ietwat teveel sla gehad, maar de volgende lichting komt er alweer aan. Pluksla Celtuce! Kortom, dat wordt weer veel slasoep, salades en nog meer salades.

 

12_Jannes.thumb.jpg.ff64f9cd2c8f8e00ab141335df64a64a.jpg

 

Onze tuinhulp voor alle klusjes die je niet wilt. :-) Hij heeft al 2 planten uitgegraven, waaronder de Akebia die EINDELIJK vruchtjes had. Zo zonde weer, maar ja, ik vergeef hem bijna alles. Al had ik wel graag voor het eerst de vruchten van de Akebia willen eten. Maar het muizenhol wat eronder zat, moest nu eenmaal uitgegraven worden.

 

18_akebia_whitechocolate.thumb.jpg.ad33958c576a4c6bba1d62a4aa54e436.jpg

 

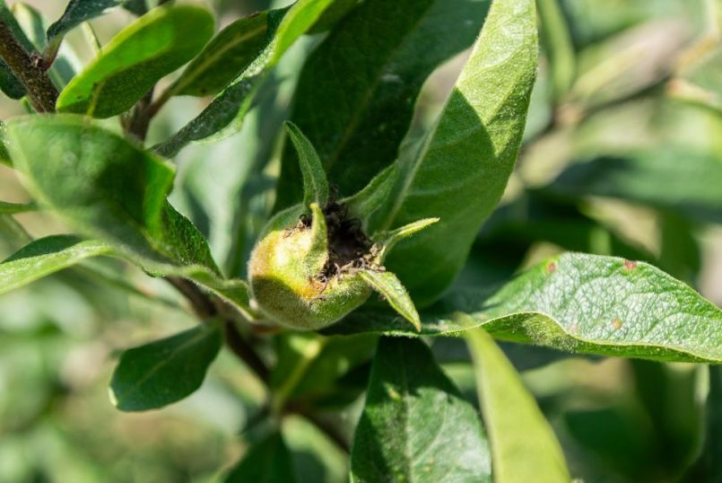
Verder is het hier belachelijk droog. En warm! Er wordt wat afgegoten, want ik wil wel wat uit de tuin kunnen eten. Dat is ook wel nodig op de zandgrond. Ondertussen worden ook meer struiken geplant, maar dat duurt wel een paar jaar voordat die meer schaduw geven in de (moes)tuin. Een aantal jaren geleden had daarom ik een mispel gekocht en geplant en dit jaar heb ik er voor het eerst mispels aan.

 

9_Mispel.thumb.jpg.36febdf03a150d920faf180126602ea1.jpg

 

De tomaten doen het met dit weer dan weer wel heel goed. Zeker nu ik de hele kas vol mest heb gegooid, daar houden ze wel van!

Heb dit jaar veel bijzondere en oude soorten, dus hopelijk kan ik veel zaden winnen. En het zou ook mooi zijn als de bijzondere soorten goed smaken! Voor de zekerheid heb ik ook wat bewezen, lekkere soorten staan, zoals Black Cherry en Black Krim. De foto is van Rheinlands Rhum, deze soort teel ik voor VEN (https://www.nutzpflanzenvielfalt.de/fachgruppe-tomaten). Daar doe ik nu een paar jaar aan mee om oude, zeldzame soorten te vermeerderen voor de vereniging en mijzelf natuurlijk. Mocht de oogst goed zijn, dan komen er veel tomatensoorten in de biozadendoos 2023 / 2024 erbij. 

 

14_TomaatRheinlandsRuhm.thumb.jpg.f3e2f746cc789dcb231abca0675c995e.jpg

 

Zoals jullie hier goed kunnen zien is het erg droog en warm. Op zandgrond is de droogte vooral lastig, want je moet veel gieten. Ik laat daarom veel planten staan tussen de gezaaide planten. Goudsbloem, wilde viool, ananaskers klein, roze klaproos en anders spul. Allemaal uitgezaaid van voorgaande jaren. Die planten bedekken de bodem ook en zorgen voor schaduw en een minder snellere verdamping van het water. Het zal er ongetwijfeld voor zorgen dat de gezaaide groenten minder groot worden, maar alles beter dan helemaal niks. Op de voorgrond staan de klaprozen nog. Die stonden tussen de tuinbonen die ik afgelopen week heb geoogst. Het loof van de tuinbonen ligt op de grond als bodembedekker. Nu heb ik er weer wat prei tussen gezaaid, maar het ziet er nog wat kaal uit.

 

10_Overzicht.thumb.jpg.359193d3c416b5a49d79e1998cc06c91.jpg

 

Het pompoenveld moet nog overwoekerd worden door de pompoenen en ook de bonen moeten nog groeien. Die zijn ook trager dan normaal.

Dat was het weer, moet nu weer gieten! Volgend jaar ga ik over een watergeefsysteem nadenken, want dit is wel goed voor de conditie, maar het kost ook veel tijd.

 

 

 

 

 

 

2 reacties

Aanbevolen reacties

Lia56

Leden

Geplaatst:

Mooi!!

 

Grork

Leden

Geplaatst:

Olla potten, is dat een optie?  ( kopen kan maar zelf deze winter maken kan ook :  twee aardewerken bloempotten op elkaar plakken. Eén gat dichtmaken met een platte kiezel o i d  en dan tot 4/5  ingraven.

Pot vol met water gieten en de wortels van de planten schijnen er vanzelf heen te groeien. https://www.waschbaer.nl › magazin › diy-tuinbewatering  Ollapottenmaken.jpg.44bd8dd66c20ef894e2bbcd3bf065b40.jpg

Gast
Voeg een reactie toe

Browser pushmeldingen instellen in uw browser

Chrome (Android)
  1. Tik op het slotpictogram naast de adresbalk.
  2. Tik op Machtigingen → Meldingen.
  3. Pas uw voorkeuren aan.
Chrome (Desktop)
  1. Klik op het hangslotpictogram in de adresbalk.
  2. Selecteer Site-instellingen.
  3. Zoek Meldingen en pas uw voorkeuren aan.