Ga naar inhoud
Bekijk in de app

Een betere manier om deze website te gebruiken. Meer informatie.

Moestuin Forum

Een app met volledig scherm op uw startscherm met pushmeldingen en meer.

Om deze app op iOS en iPadOS te installeren
  1. Tik op Deelpictogram in Safari
  2. Blader door het menu en tik op Toevoegen aan startscherm.
  3. Tik op Toevoegen in de rechterbovenhoek.
Om deze app op Android te installeren
  1. Tik op het menu met drie puntjes (⋮) in de rechterbovenhoek van de browser.
  2. Tik op Toevoegen aan startscherm of App installeren.
  3. Bevestig door op Installeren te tikken.

Rondje fruit en noten

Featured Replies

Geplaatst:

Alles bloeit of heeft gebloeid en krijgt vruchten. Ik deed vanavond een rondje.

 

Zoete kers

PXL_20250430_174648774.jpg

 

Aardbei

PXL_20250430_174625431.jpg

 

Kruisbes

PXL_20250430_173803993.jpg

 

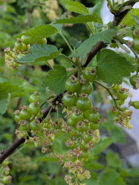
Aalbes

PXL_20250430_173741380.jpg

 

Aalbes

PXL_20250430_173706463.jpg

 

Blauwe bes

PXL_20250430_173716210.jpg

 

Cassisbes

PXL_20250430_173648797.jpg

 

Appel

PXL_20250430_173624824.jpg

 

Peer 

PXL_20250430_173246596.jpg

 

Appel

PXL_20250430_173302671.jpg

 

Peer

PXL_20250430_182337536.jpg

 

Nashipeer

PXL_20250430_182445360.jpg

 

Amandel

PXL_20250430_173516641.jpg

 

Tamme kastanje 

PXL_20250430_173410449.jpg

Geplaatst:

Mooi, Arja!  Dat belooft nog wat!  😊🍎🍐🍓

Doe mee aan dit gesprek

Je kunt dit nu plaatsen en later registreren. Indien je reeds een account hebt, log dan nu in om het bericht te plaatsen met je account.

Gast
Reageer op dit topic

Account

Navigatie

Zoeken

Account

Navigatie

Zoeken

Zoeken

Browser pushmeldingen instellen in uw browser

Chrome (Android)
  1. Tik op het slotpictogram naast de adresbalk.
  2. Tik op Machtigingen → Meldingen.
  3. Pas uw voorkeuren aan.
Chrome (Desktop)
  1. Klik op het hangslotpictogram in de adresbalk.
  2. Selecteer Site-instellingen.
  3. Zoek Meldingen en pas uw voorkeuren aan.