Ga naar inhoud
Bekijk in de app

Een betere manier om deze website te gebruiken. Meer informatie.

Moestuin Forum

Een app met volledig scherm op uw startscherm met pushmeldingen en meer.

Om deze app op iOS en iPadOS te installeren
  1. Tik op Deelpictogram in Safari
  2. Blader door het menu en tik op Toevoegen aan startscherm.
  3. Tik op Toevoegen in de rechterbovenhoek.
Om deze app op Android te installeren
  1. Tik op het menu met drie puntjes (⋮) in de rechterbovenhoek van de browser.
  2. Tik op Toevoegen aan startscherm of App installeren.
  3. Bevestig door op Installeren te tikken.

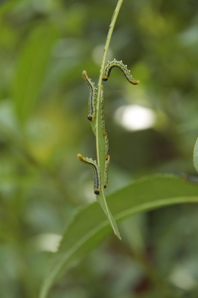
wie weet wat voor rupsen dit zijn en wat te doen?

Featured Replies

Geplaatst:

Ik heb rupsen ontdekt bij de moestuin, wie weet of ik mij kan verheugen op vlinders straks, of dat ik me zorgen moet maken en ingrijpen?

 

dsc485116261340867086.jpg

Doe mee aan dit gesprek

Je kunt dit nu plaatsen en later registreren. Indien je reeds een account hebt, log dan nu in om het bericht te plaatsen met je account.

Gast
Reageer op dit topic

Browser pushmeldingen instellen in uw browser

Chrome (Android)
  1. Tik op het slotpictogram naast de adresbalk.
  2. Tik op Machtigingen → Meldingen.
  3. Pas uw voorkeuren aan.
Chrome (Desktop)
  1. Klik op het hangslotpictogram in de adresbalk.
  2. Selecteer Site-instellingen.
  3. Zoek Meldingen en pas uw voorkeuren aan.