Ga naar inhoud
Bekijk in de app

Een betere manier om deze website te gebruiken. Meer informatie.

Moestuin Forum

Een app met volledig scherm op uw startscherm met pushmeldingen en meer.

Om deze app op iOS en iPadOS te installeren
  1. Tik op Deelpictogram in Safari
  2. Blader door het menu en tik op Toevoegen aan startscherm.
  3. Tik op Toevoegen in de rechterbovenhoek.
Om deze app op Android te installeren
  1. Tik op het menu met drie puntjes (⋮) in de rechterbovenhoek van de browser.
  2. Tik op Toevoegen aan startscherm of App installeren.
  3. Bevestig door op Installeren te tikken.

simonvb

Leden
  • Registratiedatum

  • Laatst bezocht

  1. Waarschijnlijk willen ze voornamelijk dat ze met grote machines de sloot nog kunnen uitkuisen. Hier bij ons (Lokeren, België) doen ze dit 1 keer per 5 jaren en daarom mogen we ook geen bomen planten binnen de 5 meter van de beek achteraan ons perceel. Ook al doen ze het eigenlijk langs de andere kant aangezien dat een paardenweide is.
  2. Wij hebben 3 pruimenbomen: 1 jonge plant die er nog maar 2 jaar staat en nog geen vruchten heeft gegeven, ras moet ik opzoeken. 2 oude, onbekende bomen waarvan de ene zeer lekkere groen-gele pruimen geeft, wel ook veel aantrok van wespen en vogels wegens de zoetigheid. De andere met grote blauwe vruchten die we niet lekker vinden, heb ik al half teruggesnoeid en blijft voorlopig enkel staan voor de bestuiving, daar komen de wespen ook niet op af. Je mag hier altijd enthout komen nemen van de lekkere. De buurman heeft er ook een paar. 1 oude boom met kleinere, goede blauwe. Denk 2 nieuw aangeplante van vorig jaar. Kan ik waarschijnlijk ook wel enthout van krijgen.
  3. simonvb reageerde op Ann123's topic in Fruit en noten
    Bij mijn ouders in de tuin heb ik 5 planten gezet enkele jaren geleden (gok 4jaar geleden), 4 hebben het overleefd, ze groeien wel maar zeer traag en blijven eigenlijk klein, komen wel redelijk wat bessen aan. Is in een stadstuin op kleigrond dus wel ingesloten en warmer. Ik (en mijn ouders) zijn geen fan van de smaak, de smaak is veel te sterk, te aromatisch, doet me denken aan kunstmatige, goedkope kauwgom. De bessen worden dan ook niet geplukt.
  4. Waarom zet je ze dan niet voor de appelboom, staan ze op de zuidkant van de appelaar. Van verbranding had ik ook last maar was tijdens hittegolven en voornamelijk van de bladeren, meeste bessen zaten onder/achter de bladeren. De avond voor extreme temperaturen eens goed de grond water geven, hielp hier veel aan. Bij onze nieuwe woning hebben we 3 nieuwe gezet aan palen in een weide, in het oosten staan grote bomen maar voor de rest open. Heb de indruk dat ze daar later uitlopen dan vroeger tegen de zuidmuur. We hebben 2 vrouwtjes en 1 mannetje van 3 jaar oud. 1 van de 2 vrouwtjes (minst sterkste groeier) is wel afgestorven geweest door de late vorst maar dan terug uitgelopen, deze heeft nog niet gebloeid. Dit jaar de eerste 2 bessen op het andere vrouwtje welke ondertussen al 3m hoog zit.
  5. Bescherming tegen Late nachtvorst is het belangrijkste. Als de westmuur vol in de wind zit, lijkt me dit niet echt handig en zou ik ze er enkel zetten indien je iets aan de wind doet. Aangezien de plant tegen het huis staat, zal ie wat warmer staan, dus vroeger uitlopen dus extra gevoelig. Waar je de kiwi gaat zetten, lijkt me ook ideaal voor de kiwibessen. Ik had ze in mijn vorige woning staan op een zuidmuur maar beschermd tegen de wind, daardoor viel de late vorstschade steeds mee. Nadeel op zuiden is wel dat je ze af en toe moet water geven in droge perioden. In bomen moet lukken maar met de hoeveelheid zon die je daar aangeeft, lijkt het me ook niet gemakkelijk. Ik zou dan toch eerder proberen op het oosten in de hoop dat ze minder vroeg opkomen en toch nog wat zon hebben. Als ze vrij spel hebben in de bomen, zullen ze ook wel aan het zuiden groeien van de bomen en zal daar je oogst zitten. Als ze niet aan het zuiden mogen komen, zou ik ze daar niet zetten.
  6. Ik snoei mijn walnoten in de eerste jaren nooit, dus geen idee hoe de bomen zich gedragen met snoei op jonge leeftijd. Het is waarschijnlijk door de knip van de kweker dat je nu met een gesplitste boom zit, als reactie heeft de boom twee scheuten gemaakt. Geen idee of beide "hoofdstammen" zich zo zullen blijven gedragen. Als je hem weg knipt heb je ook het risico dat je nog eens een nieuwe sterke scheut of meerdere krijgt en zo blijf je snoeien aan een boom die niet goed tegen snoei kan. Je zou 1 tak kunnen aanbinden aan een paal in de hoogte en aan de andere een gewichtje hangen op het einde zodat deze doorbuigt en niet krachtig meer groeit.
  7. Ik zou voorlopig niet snoeien en ook niet in maart. Ik zie niet direct in waarom je deze boom zou snoeien, kan volgens mij mooi uitgroeien. Je kunt altijd later er nog een tak uitsnoeien moest ie toch niet mooi groeien. In verschillende boeken staat dat walnoten niet graag gesnoeid worden en als je het toch zou doen, doe het dan in de zomer in droog weer.
  8. simonvb reageerde op Dennis29's topic in Fruit en noten
    Hier op onze arme zandgrond groeien ze bijna niet, twee boompjes zijn nu 3 jaar ouder en nog maar slechts 15cm gegroeid. Rondom de kleine boompjes nochtans elk jaar 10cm compost toegevoegd. De derde was een prima die ik 5 jaar had en eindelijk begon te groeien, de stam was duimdikte, in voorjaar afgebroken, ik denk door duiven of de kat. Is wel teruggekomen vanuit de grond maar is dus wss niet meer rasecht en terug klein.
  9. Bij mij in de serre neemt ie te veel plaats al in maar zie ik nu pas de eerste bloemen. Te laat dus om iets te worden.
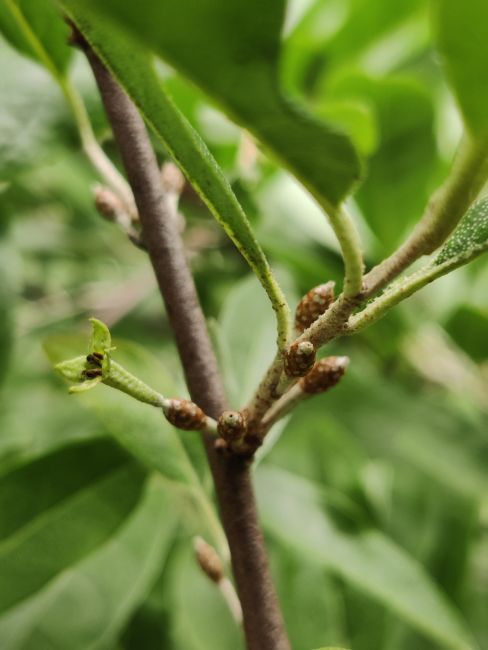
  10. Is dit toch vruchtzetting aan de umbellata? Op de meeste takken staat er niets maar enkele takken hebben precies vruchtbeginsels. Nochtans had ik er maar 1.
  11. Vorig jaar waren alle drie de legkippen (gewone bruine) hier gestorven, maar 4 jaar oud geworden. Ter vervanging hebben we rond Pasen een Bassette moederkloek met 9 kuikens gehaald van een particulier. Bij thuiskomst bleken het 11 kuikens te zijn. Wel grappig dat er één wit tussen zit, is een haantje. Het lijkt erop dat het nu 5 haantjes zijn en 6 hennen. De mooiste haan gaan we houden (de andere hanen zullen helaas worden geslacht). We hadden De Bassette voor het eerst gezien in provinciaal domein Puyenbroeck waar er veel Belgische rassen zitten in het levend erfgoed park. Bassette: - Mooi ras vinden wij - actieve kippen, ze hebben hier ongeveer 100m² met een grote okkernootboom in maar als dit te weinig is kunnen er nog enkele hennen naar de schoonouders waar ze in een zeer grote wei met de schapen kunnen. - half kriel dus niet zo heel groot - redelijk goede leggers en eieren zijn in verhouding tot de kip nog groot - naar het schijnt, gemakkelijk tam te maken - goede moeders in het algemeen - "vergeten" ras, heb toch wat moeten zoeken om er te kunnen vinden De moeder en kuikens na ophaling: En vandaag:
  12. Ik blijf de smaak maar matig vinden, één van de mindere bessensoorten voor mij, moesten ze niet zo vroeg zijn, denk ik niet dat ik ze zou houden. Heb nu bessen geproefd van 3 verschillende rassen.
  13. De multiflora hebben hier dit jaar voor het eerst ook veel vruchten hangen. .Planten zijn nu drie of vier jaar oud, zijn twee stuks van hetzelfde ras bij dezelfde kweker gekocht op hetzelfde moment (geen idee of ze een verschillende moederplant hebben). Vorig jaar wel veel bloemen maar bijna geen vruchten gehad. Denk dat ze toch eerst een aantal jaren er moeten staan voor ze goed dragen. Heb er slechts 3 kunnen oogsten aangezien de vogels de weinige vruchten toen al opgegeten hadden, dus nog geen beoordeling over de smaak gemaakt. De umbellata (ook 3 of 4 jaar oud) stond ook zeer vol met bloemen maar hier geen vruchtzetting. Gelukkig onlangs Elaeagnus umb. ‘Amber' gekocht, een ander ras met gele vruchten. Hopelijk in de toekomst dus betere bestuiving. De bijen en vogels vinden het al leuke planten. De struik in zijn geheel: de vruchtzetting:
  14. De meeste op de foto lijken niet goed bestoven te zijn geweest.
  15. Ik begin hier ook een vleugje blauw te zien in de eerste bessen. Dit jaar groeien de planten hard, misschien was het natte jaar vorig jaar goed voor ze. Zit op zandgrond. Eerste jaar (na 5 jaar) dat er eens deftig bessen aan hangen. Moet wel zeggen dat er dit jaar overal veel fruit lijkt te komen. Mooi weer tijdens de bloei.

Browser pushmeldingen instellen in uw browser

Chrome (Android)
  1. Tik op het slotpictogram naast de adresbalk.
  2. Tik op Machtigingen → Meldingen.
  3. Pas uw voorkeuren aan.
Chrome (Desktop)
  1. Klik op het hangslotpictogram in de adresbalk.
  2. Selecteer Site-instellingen.
  3. Zoek Meldingen en pas uw voorkeuren aan.