Ga naar inhoud
Bekijk in de app

Een betere manier om deze website te gebruiken. Meer informatie.

Moestuin Forum

Een app met volledig scherm op uw startscherm met pushmeldingen en meer.

Om deze app op iOS en iPadOS te installeren
  1. Tik op Deelpictogram in Safari
  2. Blader door het menu en tik op Toevoegen aan startscherm.
  3. Tik op Toevoegen in de rechterbovenhoek.
Om deze app op Android te installeren
  1. Tik op het menu met drie puntjes (⋮) in de rechterbovenhoek van de browser.
  2. Tik op Toevoegen aan startscherm of App installeren.
  3. Bevestig door op Installeren te tikken.

Het grote kiwibessen topic

Featured Replies

Geplaatst:

Dat kan met een Issai, Rorror. Maar geduld tot 2e helft oktober...dit ras is wat later. Ik zie dat ze in een pot staat.....plant vraagt toch wat meer ruimte....en niet verwonderd zijn dat als je ze uitplant er toch een of twee seizoenen zonder vruchten nodig zijn om de plant zich goed te laten ontwikkelen. Issai wordt in tegenstelling tot andere kiwibessen niet zo groot. Een ruimte van ca. 2 meter hoog en pakweg 1,5 meter breed volstaat. Bij mij staan er 2 in een oude rozenboog en die dragen al 5 jaar goed en elk jaar beter. 

In mijn moestuin heers ik als een tiran.

Wie niet luistert wordt onthoofd of uitgetrokken.

Wie gehoorzaamt wordt opgegeten.

De ondergrondse organismen houd ik te vriend, om mijn macht te behouden.

Geplaatst:

@weknow De issai staat inderdaad in een pot, maar wel 40l. Maar het is nog maar een jonge plant, vorige lente gekocht en er zaten wel 3takjes van 10cm aan, in een p5 potje. Ook gemerkt dat de issai niet diep worteld, toen ik hem deze lente in die pot heb gezet.

Geplaatst:

Klopt alle kiwibessen wortelen vooral (maar niet alleen!) oppervlakkig en zeer breed. Makkelijk een straal van 1,50 a 2,00 meter na een paar jaar al. In een pot kan tijdelijk...maar 40 liter is uiteindelijk zeker te weinig...in volle grond kan ie zich veel beter ontwikkelen en tot zijn recht komen. Mijn ervaring is dat bij een overgang van pot naar volle grond bomen en struiken vaak een terugval lijken te hebben...duurt 1 a 2 jaar om aan te slaan...maar uiteindelijk veel gezonder en beter groeien in de volle grond. In een pot worden ze gevoed en gepamperd en dat ziet er gezond uit...is het echter niet echt...wordt een soort zwak plofstruikje daarvan. Kijk ook eens goed naar de vrij strakke en sterke snoei die nodig is om een goede en vruchtbare vorm te krijgen. Dit is een nuttige link! https://www.proeftuin.eu/Nl/KLF/kiwibes.php

In mijn moestuin heers ik als een tiran.

Wie niet luistert wordt onthoofd of uitgetrokken.

Wie gehoorzaamt wordt opgegeten.

De ondergrondse organismen houd ik te vriend, om mijn macht te behouden.

Geplaatst:

Ja hier ook wat bloei, maar niet erg veel. Misschien toch eens snoeien’ dat heb ik een paar jaar geleden ook gedaan maar de planten zijn niet enorm en ik ben bang juist de bloei eruit te snoeien. Maar goed wat bloemen vooral in mijn vrouzelijke kiwi es en maar enkele in de man, Mijn enkele jaren geleden erbij geplante Issai heeft twee jaar lang erg geleden onder de vorst en groeit nu wel aardig maar komt nog niet boven de meter uit terwijl de bloemen bij de andere planten op twee meter en hoger zitten. En die staan ook nog een meter en drie meter verder. Sterkte aan de bestuiven! Erg jammer @Liesje  en @roeier ook voor NOFrankrijk is dit geen gemakkelijke plant dat is wel duidelijk. Ik heb de plant gekocht ergens in ´12 of ´13, nu komen af en toe bloemen, vrucht nog nooit gezien.

We zijn allemaal kinderen van de Aarde  🌎

Geplaatst:

@weknow Ik moet hem helaas in pot houden heb geen volle grond.

 

De bloei is er nu bijna uit en de eerste kiwi's zijn nu zichtbaar! Waarom duurt het zo lang voordat deze rijp zijn? Want oktober duurt nog zo lang.. 

 

DSC_3526.thumb.JPG.34458f9b180bb5731227fe7ccd0fbb3b.JPG

 

 

Laat de kiwibes issai zich makkelijk stekken? Is wel leuk om weg te geven aan andere mensen. 

 

aangepast door rorror

Geplaatst:

Niet makkelijk om te stekken. Verschilt wat per ras. Issai is gemiddeld. Sommige lukken nooit, andere soms een paar. 

Vermoedelijk heb je met zomerstek de beste kans. Maar winterstek is makkelijker te verzorgen en vraagt minder aandacht. 

Ik schat dat 5 a 10 % slaagt gemiddeld van gemaakte stekken. Maar de plant groeit zo hard en maakt zo veel scheuten dat je na een paar jaar heel veel stekhout hebt.

Professionele kwekers werken met een nevelinstallatie voor zeer hoog succespercentage.

 

Wat bijna altijd lukt is afleggers maken....duurt wel wat langer en geeft kleine aantallen klonen.

In mijn moestuin heers ik als een tiran.

Wie niet luistert wordt onthoofd of uitgetrokken.

Wie gehoorzaamt wordt opgegeten.

De ondergrondse organismen houd ik te vriend, om mijn macht te behouden.

Geplaatst:

@weknow Dank je wel. Wat bedoel je met hij maakt veel scheuten? Komen die dan vanzelf uit de grond omhoog, en dan afsteken?

Nouja als ik stekken ga maken, doe ik dat als ik hem moet snoeien. Dus dat komt straks pas. 
Zomer stekken maak ik nu van allerlij planten op moment, in het licht in de schaduw, met een transparante plastic zak er over, zodat luchtvochtigheid hoog blijft. En ja je moet goed op zomer stekken letten, niet laten uitdrogen.

Geplaatst:

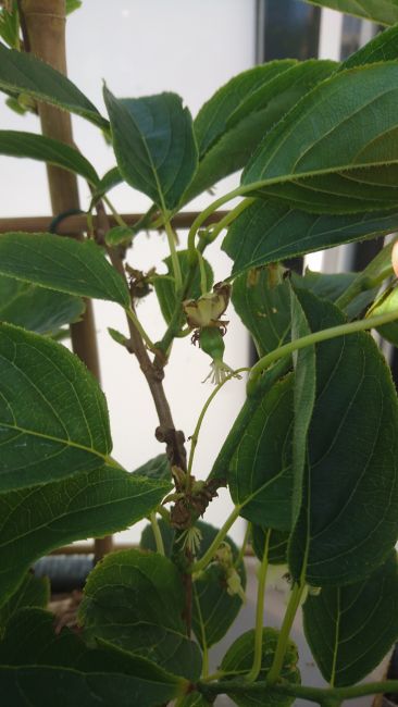
Het zou toch zomaar zo kunnen zijn dat ik dit jaar een kiwibes heb. Ook heb ik bestuivertje gespeeld omdat ik vond dat die enkele vrouwelijke bloem wel erg ver verwijderd waren van de mnl. bloemen. Ik hoop tenminste dat dit een Heren bloem is anders heb ik iets anders gedaan😉0A574E7C-36BB-4358-9F5D-58D4038E8BF3.thumb.jpeg.71a35ce004b51ce9a8b2425af2ca5c42.jpeg

We zijn allemaal kinderen van de Aarde  🌎

Geplaatst:

Zo te zien is dit een tweeslachtige bloem. Ik zie een vruchtbeginsel, onderop de meeldraden en bovenop de stampers.

Geplaatst:

Dat in het midden op de foto van Appelvrouw is een stamper/vruchtbeginsel, vrouwelijk dus. Tweeslachtig durf ik niet te zeggen. Mannelijke bloem heeft alleen meeldraden ... zie foto.

 

1030439.thumb.jpg.5d62c003ff37063ac5a53610267ac588.jpg

aangepast door Bertus

Geplaatst:

Dank jullie. Dus dan kan ik er vanuit gaan dat mijn als mnl kiwibes aangeleverde man ( weima geloof ik) tweeslachtig is? 
Ik heb maar een beetje bloemen, ook weinig in de Ken’s Red, komt dat nu omdat ik niet echt snoei, alleen af en toe een in de weg schietende sliert? De planten zijn nu 7 of 8 jaar en groeien pergola wijs. Ik heb er twee jaar terug een Issai bij geplant maar dat is nog een baby vergelijk met zijn of haar twee grote buren.

We zijn allemaal kinderen van de Aarde  🌎

Geplaatst:

Hoe dan ook alle vruchtjes die er waren zijn gevallen, het waren er al niet veel, 11 of zo? Maar dit lijkt iets te beloven...

260DF8EF-3943-4726-A5A6-CC09AD53CD8B.jpeg

We zijn allemaal kinderen van de Aarde  🌎

Geplaatst:

Gefeliciteerd Appelvrouw je bent in blijde verwachting!

  • 1 maand later ...
Geplaatst:

Ik heb momenteel 3 kiwibessen in pot (1 ken's red, 1 weikie mannelijk, 1 weikie vrouwelijk)

In het najaar wil ik ze uitplanten in volle grond.

Nu twijfel ik enkel over hoe ik ze zal telen, plaats is geen probleem...

 

Ik lees dat het beste systeem is om palen te plaatsen met een T-balk en 5 draden erop.

Maar in dit forum zetten de meeste ze verticaal tegen een muur ofzo.

 

Wat doe ik het best?   

  • 2 weken later...
Geplaatst:

Begin dit jaar had de plant niet zoveel gegroeid. Maar de laatste weken elke week wel 10cm er bij. Heeft drie bamboe stokken, en is elke bamboe stok al met 2 tot 4 scheuten boven geeindig en draaien nu omelkaar naar beneden. Dikte van de stam is van 2mm,naar 1cm dik gegaan. Zit dus enorm veel groeikracht in de plant! 

Besjes worden langzaam maar zeker ook wat groter.. 

Geplaatst:

Wacht maar af, Rorror.....over een of 2 jaar groeit ie als een gek en aan tientallen scheuten tegelijk, de grootste halen 30 a 40 cm erbij per week. Het belangrijkste werk aan mijn kiwibessen vanaf juni is heel vaak  snoeien. 😁

In mijn moestuin heers ik als een tiran.

Wie niet luistert wordt onthoofd of uitgetrokken.

Wie gehoorzaamt wordt opgegeten.

De ondergrondse organismen houd ik te vriend, om mijn macht te behouden.

Geplaatst:

Mijn Issai staat nu 3 of 4 jaar in de tuin, maar heeft nog nooit vruchten gegeven. Meerdere keren hebben er bloemetjes aan gezeten, maar deze vallen af zonder dat er vruchten komen. Vorig jaar en het jaar ervoor had de plant veel te lijden van de warmte/droogte. Dit jaar heb ik veel compost gegeven en vaker water gegeven. Hij groeit nu goed, maar dus wederom geen vruchten (wel bloempjes gehad). De plant staat in de volle grond, langs een schutting op het zuiden. Iemand nog een tip? Zou hij beter staan op een minder warm plekje? De tip van het mulchen met hakselhout ga ik nog proberen; tot nu toe had ik steeds wel iets van een onderbegroeiing van aardbeien of OI kers. 

Geplaatst:

@maartje Heb je een foto van de Issai? Misschien is het label bij de kweker verwisseld geweest. En dat b.v. je een andere kiwibes hebt die niet zelf bestuivend is.

Wat ook zou kunnen, wat andere dit jaar ook hadden, was dat de bloemetjes bevroren waren geweest, en daardoor afvallen.

Iets wat ik ook heb gemerkt, de dagen dat het slecht weer was b.v. regen, dat de bloempjes niet bevrucht werkden door de bijen, en die dus afvielen, de bloempjes op zonnige dagen, werden dan weer wel bevrucht.

Heb je ook al eens geprobeerd met de hand te bevruchten?

Geplaatst:

Goede tips @rorror. Het zou inderdaad kunnen dat de bloempjes bevroren zijn geweest ivm de late nachtvorst. Bevruchten met de hand is ook een optie waar ik niet aan had gedacht en ga ik volgend jaar eens proberen. Ik kijk het in ieder geval nog eens een jaar aan; de plant is dit jaar wel goed gegroeid vergeleken bij de afgelopen 2 jaar.

kiwibes.jpg

Geplaatst:

Deze plant is nog zo klein-jong dat ze nog niet veel kan dragen. Mijn tip is om 1, of 2 of hooguit 3 sterkste scheuten vanuit de grond te laten staan. Al de rest rigoureus wegknippen en dat blijven doen. Zo te zien heb je die al aangebonden. Alle andere dus wegnemen! Aan de zijloten die vooral hoger-op snel zullen ontstaan komen dan de meeste en beste vruchten. Die loten kort je elk jaar weer in op 2 of 3 knoppen in december of zo. 

 

Ookal blijft een Isaai in vergelijking met andere kiwibessen veel kleiner, deze struik is zeker nog niet volwassen! Ik denk dat ze volgend jaar nog veel harder zal gaan groeien en die hoofdtakken zullen gaan verhouten. Dan is de struik ook volwassen genoeg om echt te gaan dragen...reken er op dat dat jaarlijks wat zal toenemen. Alle kiwibessen bloeien en dragen vooral op het hogere hout dat in een soort parasol-vorm groeit. Je zou een aantal zijscheuten kunnen horizontaal binden tegen de 4 a 5 hoogste planken van de schutting of er zelfs rond winden als het jouw schutting is. Ik hoop alleen dat je schutting niet op het zuiden staat, want dat is voor een kiwibes echt veel te heet. dan zet je er beter een druif of echte kiwi. Ook moet je rekenen op veel oppervlakkige wortels in het gebied tot zeker 1,5 meter rond de struik...kan niet zien waarvan en hoe breed het stenen deel is ervoor....maar daar moet de grond vochtig kunnen zijn en blijven. Voor een Issai die er al zo lang staat groeit ze echt heel weinig! Zou er op kunnen wijzen dat de omstandigheden niet de goede zijn, hoewel ze wel fris uitziet.

In mijn moestuin heers ik als een tiran.

Wie niet luistert wordt onthoofd of uitgetrokken.

Wie gehoorzaamt wordt opgegeten.

De ondergrondse organismen houd ik te vriend, om mijn macht te behouden.

Geplaatst:

Dank je @weknow voor je uitgebreide uitleg. De schutting staat inderdaad op het zuiden en de kiwibes heeft een vrij smalle strook grond. De afgelopen zomers waren erg droog en heet en de kiwibes is toen amper gegroeid en zag er niet goed uit. Dit jaar is hij wel goed gegroeid, maar dat verklaart waarom hij nog relatief klein is. Zou ik nu nog kunnen snoeien of wachten tot de winter? En ik ga hem later in het jaar verplaatsen naar een minder warme plek. 

Geplaatst:
1 uur geleden, maartje zei:

Zou ik nu nog kunnen snoeien of wachten tot de winter? En ik ga hem later in het jaar verplaatsen naar een minder warme plek. 

Nu snoeien kan prima....ik denk dan aan de scheuten die vanuit de bodem of laag aan de struik staan. Wintersnoei zal sowieso nodig zijn...om alle twijgen die niet verder mogen groeien volgende jaren en die niet passen in het gestel van de struik op 2 a 3 knoppen te zetten. Voordeel is dat je gedurende rest zomer, najaar en vroege winter geleidelijk kunt snoeien...steeds wat, waardoor de schok voor de struik niet te groot is.  Jonge struik groeit nog niet zo hard en investeert eerst in `aanslaan`....opbouw van een gezond wortelstelsel....essentieel voor de toekomst.

In mijn moestuin heers ik als een tiran.

Wie niet luistert wordt onthoofd of uitgetrokken.

Wie gehoorzaamt wordt opgegeten.

De ondergrondse organismen houd ik te vriend, om mijn macht te behouden.

  • 1 maand later ...
Geplaatst:

De helft van de bessen zijn met de storm van een paar weken terug uit de kiwibes gewaaid. Vandaag hingen er twee zacht aanvoelende bessen aan, heb die geprobeerd. Waren erg lekker en zoet. Er hangen er nog maar een paar besjes. Volgend jaar hopenlijk een stuk meer vruchten. Deze vruchtdrager mag blijven! 

Geplaatst:

Bij ons waren de kiwibessen weer waardeloos. Een paar planten heb ik laten doodgaan door de droogte, want ze staan nu toch al drie jaar niks te doen. Andere planten lijken redelijk, maar de laatste jaren bevriezen ze wel gedeeltelijk in in het voorjaar, dus ben nog altijd aan het wachten op vruchten. Misschien volgend jaar want sommige planten zijn inmiddels wel zo groot dat er bloemen aan kunnen komen, zowel de mannetjes als vrouwtjes. Nu hopen dat de rassen die wel goed gaan ook niet te aromatische vruchten hebben, wat bij sommige rassen het geval is. Sommige planten leven en zien er redelijk uit, maar groeien eigenlijk al 3-5 jaar niet tot nauwelijks. Dit jaar heb ik gelukkig wel minder planten gehad die echt last hadden van de droogte. Ik denk dat de wortels eindelijk diep genoeg zitten. We hadden natuurlijk ook mazzel met de regen in juni en augustus.  

  • 3 weken later...
Geplaatst:

Wie kan mij meer vertellen over de drie kiwibessen/mini-kiwi's die Vreeken aanbiedt? Pink Beauty, Big Beauty en Strongly? Ik ben redelijk bekend met het onderzoek aan de Universiteit van Gent naar Actindia Arguta, ik heb zelf een aantal cultivars staan, maar behalve de informatie die Vreeken geeft kan ik over deze drie rassen weinig vinden. Ik wil voorkomen dat het achteraf blijkt te gaan om een Russische cultivar die voorzien is van een modieuze naam.

Zo ben ik benieuwd hoe de bloei van het mannetje Strongly zich verhoudt tot Weiki (mannelijke Bayern kiwi). En bijvoorbeeld hoe de vruchtgrootte van Big Beauty zich verhoudt tot grootvruchtige cultivars zoals Jumbo of Ambriosia Grande.    Ik las in dit draadje dat Jorieke123 een keer al "Strongly" in huis had gehaald?

Doe mee aan dit gesprek

Je kunt dit nu plaatsen en later registreren. Indien je reeds een account hebt, log dan nu in om het bericht te plaatsen met je account.

Gast
Reageer op dit topic

Account

Navigatie

Zoeken

Account

Navigatie

Zoeken

Zoeken

Browser pushmeldingen instellen in uw browser

Chrome (Android)
  1. Tik op het slotpictogram naast de adresbalk.
  2. Tik op Machtigingen → Meldingen.
  3. Pas uw voorkeuren aan.
Chrome (Desktop)
  1. Klik op het hangslotpictogram in de adresbalk.
  2. Selecteer Site-instellingen.
  3. Zoek Meldingen en pas uw voorkeuren aan.